AMENDOEIRA DA PRAIA (TERMINALIA CATAPPA)
A Terminalia catappa, também conhecida como amendoeira-da-praia, é uma árvore tropical de porte médio a grande, nativa do sudeste da Ásia e de algumas partes da Oceania. É amplamente cultivada em regiões tropicais e subtropicais em todo o mundo como planta ornamental e de sombra, especialmente em áreas costeiras.
É uma árvore perene, que pode viver por muitas décadas, tem uma copa arredondada e densa, com uma folhagem verde-escura e brilhante que se torna vermelha ou amarela antes de cair durante a estação seca. As folhas são caducas, ou seja, caem durante a estação seca.
Além de suas qualidades ornamentais, a amendoeira-da-praia é conhecida por suas propriedades medicinais. Diversas partes da árvore, incluindo as folhas, sementes e casca, são usadas na medicina tradicional para tratar várias doenças e condições, como diabetes, infecções, inflamações, problemas digestivos e distúrbios respiratórios.
Algumas de suas principais características fenotípicas são:
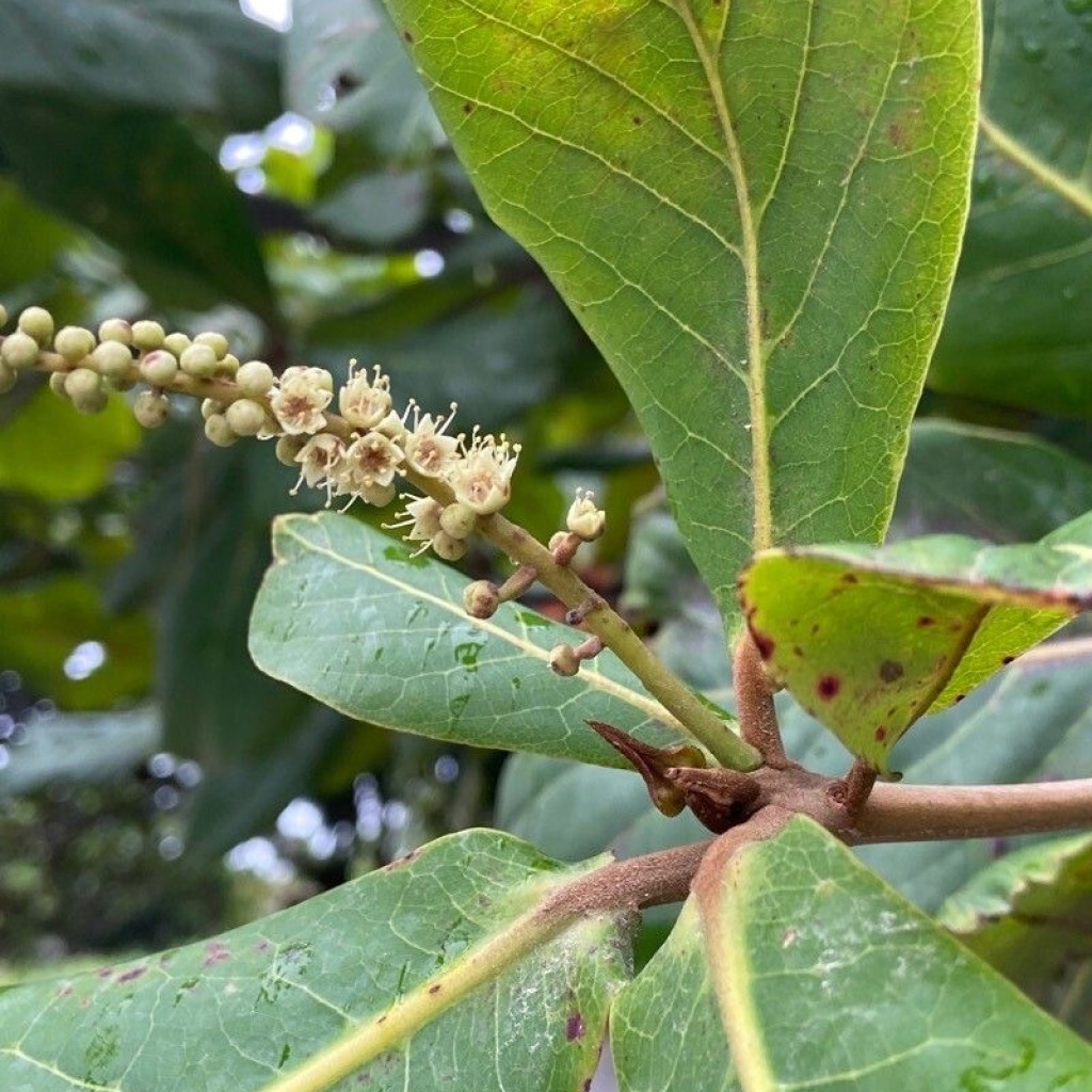
- Folhas: são grandes e largas, em formato oval, com cerca de 15 a 35 centímetros de comprimento e 10 a 20 centímetros de largura; As folhas são caducas, ou seja, caem durante a estação seca;
- Flores: são pequenas, brancas ou amareladas, que se agrupam em inflorescências terminais;
- Frutos: possuem formato de amêndoa, que medem cerca de 5 a 7 centímetros de comprimento e têm casca dura, fibrosa e marrom, contendo uma única semente;
- Casca: é lisa, fina e de cor marrom-acinzentada.